| 
 
 ULSTER LANDING and EAST KINGSTON, NY 
Part of the "Kingston Brick District," ULSTER LANDING is in the Town of Ulster and is along the western shore of the Hudson, Dwyer Bros. Yard No. 2 (shamrock symbol)just south of "Porterville" and Glasco.
 This 1891 Ulster Landing Map
 (Map source: David Rumsey Collection: Portion of Ulster County. Portion of Dutchess County. Copyrighted, 1891, by Watson & Co.)
 shows only 3 brickyards (Littlefield, Rose and Overbaugh).
 This was to change very quickly in the late 1800s.
 
 
 
From remnants found along the shore, and George Hutton's book The Great Hudson River Brick Industry,we surmise the location of the yards went something like this (going from north to south):
 
 KB&ICo (Kingston Brick & Ice Company, made by Dwyer)
 HB&ICo (Hanrahan Brick & Ice Co, made by Dwyer)
 MCABE, McCabe & Co, M in an oval (Frank J. McCabe & Co.)
 NRBCo (North River Brick Company)
 ULB (Ulster Landing Brick Co.)
 L&LBCo (Lawatsch & Lotz Brick Co.)
 GOLDRICK, (G) (Philip Goldrick)
 (Upper Yard at
 Goldrick's Landing (by Kingston-Rinecliff Bridge)
 W. Littlefield
 A. ROSE (Alonzo Rose, 1890s), A R & Co (Alonzo Rose & Co.), ROSE (Rose Brick Co.) (1900s), ROSE BROS
 D.C. Overbaugh
 LYNCH, LL (Lynch Bros.), (L. Lynch)
 TOPPIN (Henry Toppin)
 BROPHY, (Brophy Brick Co.), B BROS (Brophy Bros.), B & B (Brophy & Brother)
 DINAN (Thomas Dinan)
 HENDRICKS (Hendricks Brick Co.)
 S & H (Streeter & Hendricks)
 
Steep Rocks (incl. today's Chas. Rider Park):GOLDRICK  (Lower Yard)
 KING (King Brick Co.)
 TERRY, 19TERRY24, TERRY BROS (Terry Brick Co.),(David, Albert & Edwin)
 
Town of Ulster (today's Rbt Post Park and South):
U. F. & J. T. W (U. F. & J. T. Washburn)
 Daniel Weed, Weed & Sutton
 John Shutero
 Palmer Gerrit
 Thomes Beekman
 
 Interactive aerial view of bricks along the Hudson just south of Rbt. Post Park
 (Click on "ROAD" to see street names, etc. There's a "BRIGHAM" St & a "TERRY" St.)
 
 
 
 EAST KINGSTON, NY
Also located in the Town of Ulster, EAST KINGSTON was in earlier times referred to as Flatbush. Originally named by the Esopus, the Dutch called it "Vlakke Basch."
 
From Gazetteer and Business Directory Of Ulster County, N. Y. For 1872-2Source: https://history.rays-place.com/ny/uls-kingston-ny.htm
 
"East Kingston is a new and thriving village on the Hudson, about three miles above Rondout, and about the same distance from Kingston. It contains a store, the Hudson River Cement works, the ice-houses of the New York City Ice Co. and of the Washington Ice Co. 
The Hudson River Cement Works, of E.M. Brigham, located at this place, turn out about 150,000 barrels annually. Their principal quarry is at Creek Locks, though they obtain some of their stone from the hill in rear of their works. The manufacture of cement was first commenced here in 1857 by the Rosendale & Kingston Cement Co. Mr. Brigham, the present proprietor, has enlarged the works and has been carrying on the business for several years."
 
Read More About Rosendale Cement 
 
  Click map for a larger (and more northern) view.
 1891 F.W. Beers mapshowing (from North to South): Newark & Rosendale Cement Co., J. Manchester Brickyard,
 Newark Ice Co.,
 Parkers Ice House,
 BRIGHAM Bros. cement and brick works,
 Washington Ice Co.
 C. SHULTZ (Schultz) brickyards (just west of Whiskey Point)
 
 
To the North are the
S. Decker and Kerr & Cortz brickyards. 
(On a 1929 Sanborn map, the SHULTZ yard is called the EAST KINGSTON BRICK Co.)
(source: Hutton, George V., The Great Hudson River Brick Industry
 map source: David Rumsey Collection, Cartography Associates)
 
 
 
 Henry R. Brigham Brigham letterhead courtesy Century House Historical Society
  
 Brigham Brick Co.  
 
   Henry R. Brigham
 East Kingston, NY
 (1922 - 1957)
 (found in Riverdale, NY and at the brickyard site)
 
 
 
 
 Brigham Brothers Henry R. and William H.
 East Kingston, NY
 (1888 - 1910) (9 machines in 1910)
 
 
   
 At the claybank in the early days of the BRIGHAM brickyard,(Courtesy: Hudson River Maritime Museum)showing the typical two-wheel, horse-drawn carts used to haul the clay.
 
 
  The Times Herald-Record, March 3, 1998:
EAST KINGSTON -- A federal official yesterday confirmed there are no
current plans to ship dredged mud from New York harbor to an old East
Kingston brick yard. 
But the U.S. Army Corps of Engineers has not "100 percent excluded" the location, whose choice as a dredge mud burial spot spawned a vocal grassroots group. It also mobilized local politicians to oppose burying the contaminated mud in the old Brigham Brick Yard owned by Newburgh businessman David Plotkin. 
"We're not investing any more money to develop it,'' said Len Houston, an Army Corps of Engineers environmental expert.
He said the Corps is not listing the brick yard in a report to be released soon on possible dump sites. "It's a small site with a lot of opposition," said Houston. 
However, Plotkin's engineer, John Dodson, calls it "about the best site in New York State."
Plotkin is proposing to have mud delivered by barge to his Steel Style ship yard in Newburgh, where it would be transferred to rail cars and taken to old coal fields in Pennsylvania. Plans call for the mud to be used to seal old coal mines.
The Newburgh mud transfer station remains a possibility, said Houston.--WAYNE A. HALL
 
 
 
 
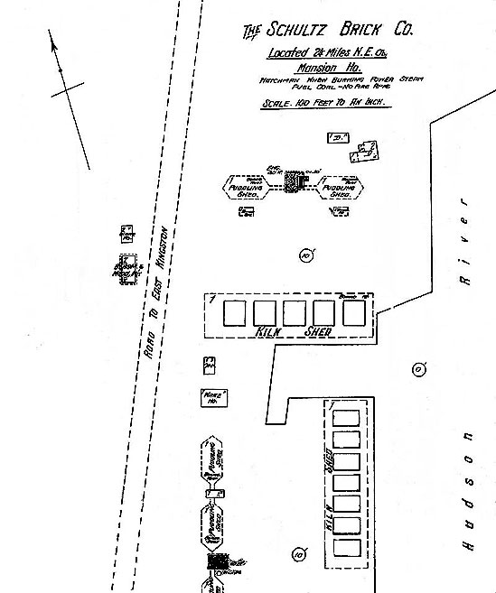
 Shultz Brick Company  
  Estate of C. A. Shultz
 East Kingston, NY (1876-1940s) (6 machines in 1910)
 
 
 
 
  
 The Charles A. Shultz Brickyard at East Kingston c. 1899.From left to right: Puddling Sheds to either side of the flue, a drying yard, Kiln Shed, and
a schooner in the slip. The flue remains today (see below). At its base was a 40HP steam engine that drove a "power-line" to run the pug mill to mix the clay and (later) the brick-making machines. The power-line can be seen continuing along the bottom of the picture and going to the next area (see next picture).
 
  
 The Charles A. Shultz Brickyard at East Kingston.Here we see the "power-line" entering the left-hand Puddling Shed. In front of the sheds is
a drying yard and there's a Kiln Shed on the river. To the left is a second schooner. Remains of the slip in which the two schooners (the Hannah Brown and the Anne E. Webb) are docked exist today (see below). Both vessels carried bricks to Providence, R.I.
 (Courtesy of Hudson River Brick by Brick Manufacturers Association of New York)
 
 
  
 1899 Sanborn Map (click for larger view)(On a 1929 Sanborn map, the SHULTZ name has changed to EAST KINGSTON BRICK Co.)(WEBMASTER NOTE: Thanks to Chester Hartwell for cleaning up this rough scan I made at the NY Public Library.)
 
 
 
 
 From the final chapter, Chapter 7:
 
EPILOGUE FOR A DEPARTED INDUSTRY
The Great Hudson River Brick Industryby George V. Hutton 
 
 COMMEMORATING THREE AND A HALF CENTURIESOF BRICKMAKING
"The Hudson River brick industry went down before an array of
overwhelming forces, including large demographic changes, competition by
new technologies, and by brickmakers in distant locations that had
achieved access to the New York market, as well as new environmental
standards. During its lifetime, nothing can gainsay that industry's
indispensable contribution to the very existence of New York City, where
the record of that accomplishment is everywhere to be seen. With the
exception of IBM, there is nothing comparable to that industry in the
Hudson Valley today in terms of size and consequence of its production. 
"Soon enough, virtually all vestiges of the physical presence of all that
intensive manufacturing activity will have observably disappeared. The
great majority of the substantial changes to the landscape, resulting
from the excavation operations, will not be discernible due to
overgrowth, a condition that is nearing completion at this writing.
Development of brickmaking sites for other purposes will also obliterate
all signs of past endeavors.
 
  
 Shultz Flue, July, 2006"Perhaps one of the two graceful
nineteenth-century brick boiler flues at East Kingston (the Shultz
yard flue being a personal favorite), built to power the steam engines
that drove the brick machines, will be treasured as the sole remaining
industrial artifact of three and one half centuries of the existence of
the great Hudson River brick industry."
 
 
  
 Base of Shultz Flue, July, 2006(The background montage for this page is from bricks at the base of this flue.)
 
 
  
 Graffiti on Shultz Flue, July, 2006
 
  
 Remains of Shultz Dock, July, 2006
 
  
 Bricks at Shultz Dock, July, 2006(C A S, SHULTZ and BRIGHAM bricks can be found here.)
 
 
 
  
 Shultz Mule BarnMules were used for pulling railroad cars of clay and brick, powering the Pug Mills and
hauling equipment.
 
 
 
  
 Shultz Mule Barn, July, 2006
 
There are plans to turn this into a 
museum.
An article on the Ulster County Citizen Park System website states:
 "The historic mule barn would be preserved and become a museum and community center for the town of Ulster. Three miles of hiking trails with views of the Hudson would be created. And public access to the last mile of Kingston waterfront, which has been held privately and off limits to the public for several years, would be opened. A waterfront promenade, complete with a public boat launch and docking facilities, would provide access to the Hudson for Kingstonians and visitors alike."
 
 ----------------------
 
 
 ----------------------
 
 
   
 East Kingston Yard TodaySquare stack at the bottom, loading docks upper left, mule barn upper right
For an interactive view, looking west from the River, Click Here 
(SOURCE: ©  Live Search Maps)
 
 
 
 Hudson Landing: 1,750 Residential Units to Be Built on the site of the Former East Kingston Brickyards.
 Plans for a City Within a City:
 
 
 
 
 From:
 Hudson Landings, City of Kingston and
          Town of Ulster, Ulster County (submitted
        by Hunter Research, Inc.):
 An extensive
          program of supplemental Phase I and II
          cultural resources investigations was carried
          out by Hunter Research, Inc. between
          October 2005 and July 2006 for the proposed
          development known as Hudson Landings
          in the City of Kingston and the Town of Ulster
          in Ulster County, NY. The proposed
          development involves the construction of
          1,750 residential units and 78,500 square
          feet of commercial space. The project site
          comprised approximately 524 contiguous
          acres of vacant land on the right (west)
          bank of the Hudson River between Kingston
          and East Kingston. The proposed development
          lies within view of the Hudson
          River National Historic Landmark District
          (established in 1990) and the Mid-Hudson
          Shorelands Scenic District. The Hudson
          River has also been designated an American
          Heritage River.         The project site saw limited occupation
          and land use during the prehistoric and
          early historic periods, although outcrops of
          local chert were likely attractive to Native
          Americans and the area served as common
          land for the residents of nearby Kingston
          in the late 17th and 18th centuries. During
          the 19th and early 20th centuries, however,
          brickyards and icehouses lined the property’s
          Hudson River frontage, while cement
          quarrying and mining operations, small
          farms, and homesteads occupied the inland
          and upland portions of the tract. Presently,
          the only standing buildings/structures on
          the site are the derelict infrastructure of
          the mid-20th-century cement and quarrying
          operation, and a former mule barn and
        chimney of the Shultz brickworks.  A single prehistoric archaeological resource,
          four industrial archaeological complexes
          with multiple elements, two farmstead
          sites, an icehouse site, an abandoned
          natural cement mine, a segment of historic
          roadway, and various features along the
          waterfront were identified during the
          course of the Phase I and II survey work.
          Five archaeological resources—the Hudson
          Landings Prehistoric Site, the Terry Brickyard
          and Icehouse Complex, the Shultz
          Brickyard Complex (including an extant
          mule barn and brick chimney), the William
          Terry Icehouse Site (which has an 18th-century
          domestic component), and the Lost
          Lake Mine (an abandoned 19th-century
          natural cement mine)—have been judged
          eligible for inclusion in the New York and
          National Registers of Historic Places. No
          expanses of landscape or individual landscape
          features in the project area are considered
          National Register eligible.         Two of the five National Register-eligible
          resources, the Terry Brickyard and Icehouse
          Complex and the Shultz Brickyard
          Complex, will be affected by the proposed
          development project. Recommendations
          have been made for limited archaeological
          data recovery at these properties in mitigation
          of the project’s effects. Alternative
          methods of mitigation, including public
          outreach measures and the incorporation of
          historic themes into the project’s architectural
          and landscape design, were also suggested
          as appropriate mitigation of project
          impacts on these two industrial complexes.
          The proposed project, as currently planned,
          will avoid impacting the Hudson Landings
          Prehistoric Site, the William Terry Icehouse
          Site, and the historic character of the Lost
          Lake Mine.
 
 
 
 
 
   
 
SHULTZ brick in the ruins of 1551 Broadway, NYC,(SOURCE: vanishingnewyork.blogspot.com)former home of Times Square's last Howard Johnson's
 
 
 
 
The Great Hudson River Brick Industryby George V. Hutton
 Now Available at a Special Discount for Visitors of
Brickcollecting.com!
 
Click Here to Purchase
 
 
 
 
 
 
 
 
 |